Terreno Agricolo (con / Senza Piccolo Prefabbricato) in Vendita
Cupra Marittima - Lungomare (al Di Sotto Della Ferrovia)
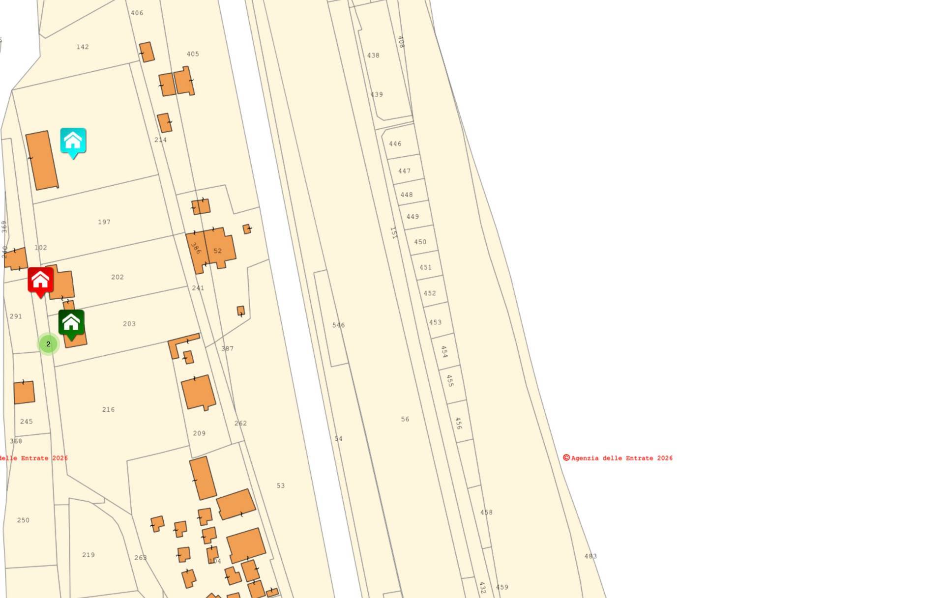
Codice: 33969
Appezzamento di terreno agricolo su spiaggia, localizzato direttamente sul mare, della superficie di 221 m² e di forma rettangolare. L'appezzamento di terreno corredato di recinto con rete metallica, #d'ingresso e si trova in una posizione letteralmente unica e cioè sulla spiaggia, in uno dei tratti del litorale più ricercati e tranquilli.
Sull'appezzamento di terreno in oggetto è possibile realizzare una cabina delle dimensioni di 1,80 x 1,80 metri oltre due gazebo ciascuno di 14 mq: totale superficie coperta sul lotto: 31,24 metri.
- Non si tratta di un terreno demaniale ma di un terreno di proprietà
- Essendo un terreno prospiciente la spiaggia, il suo fondo è ovviamente in sabbia fina
- Possibilità di installazione di energia elettrica
€ 331.500
Informazioni immobile
Codice 33969
Contratto Vendita
Tipologia Terreno Agricolo (con / Senza Piccolo Prefabbricato)
Regione Marche
Provincia Ascoli Piceno
Comune Cupra Marittima
Zona Lungomare (al Di Sotto Della Ferrovia)
Prezzo € 331.500
Totale mq 221 mq
Caratteristiche
Vista mare
Vista panoramica
Ubicazione immobile


























